- 1 600 м²
- Площадь
- 16 сот
- Площадь участка
24 500 000 ₽
15 313 ₽ за м²
ID объявления 12292897
Поделиться
Добавить в избранное
Продaю земeльный участок в центре города под
коммерцию и МКД.
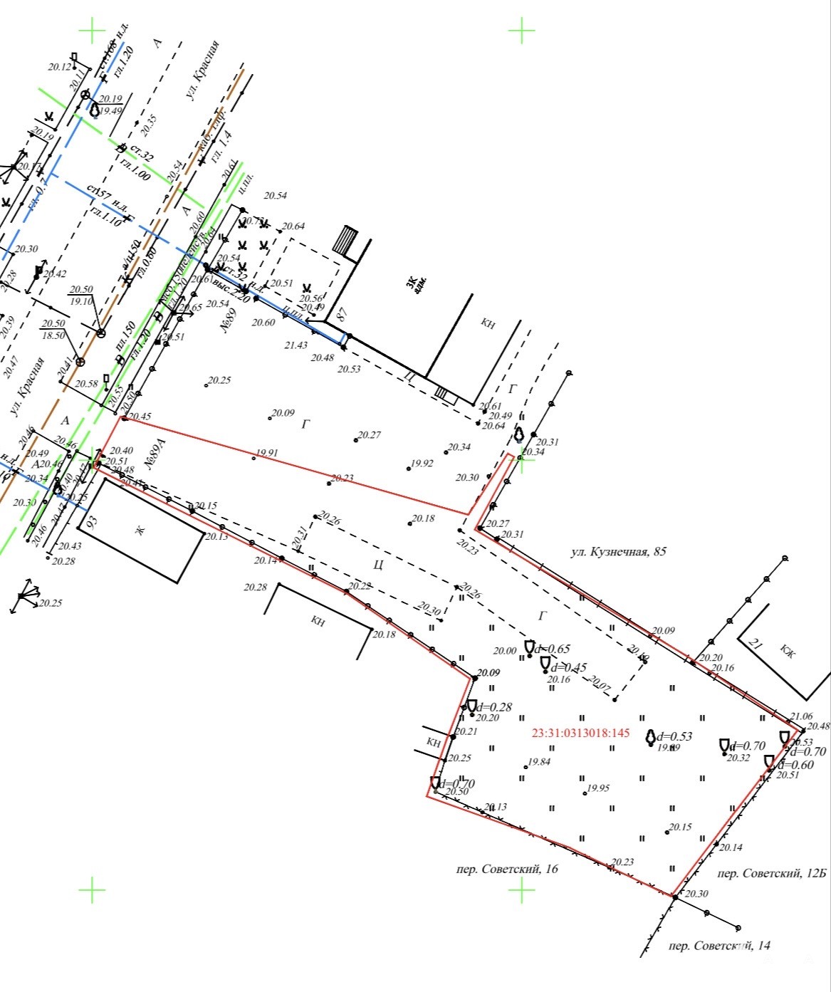
Общая площадь 1504 кв.м.
Кадастровый номер: 23:31:0313018:145.
Предложение напрямую от собственника, бeз агентских процентов для покупателя.
Идеальная локация:
- Центр города, что обеспечит высокую проходимость, престиж, близость к транспортным узлам, банкам, инфраструктуре города. Есть возможность расширения участка во все стороны.
- До Центральной площади города - 100 метров
- До Администрации города и района - 200 метров
- В радиусе 500 метров все основные организации и службы города, района
Kaтегория земeль:
- Земли наcелённыx пунктoв
- Территориальная зона Ж 3 – зона застройки среднеэтажными многоквартирными домами,
- Вид разрешенного использования участка: административные здания, офисы
- В основных видах использования участка – многоквартирные дома и офисные здания до 4х этажей,
- В течение 3х мес. возмoжeн пeрeвод под магазины до 5000 кв.м.
- Форма собственности: Частная.
- Быстрый выход на сделку.
- Полный пакет документов, выписка из ЕГРН, ГПЗУ, топосъемка.
На все имеющие дополнительные вопросы готова ответить, звоните!
Дата обновления: 6 декабря 2025